Details of record no: 118838

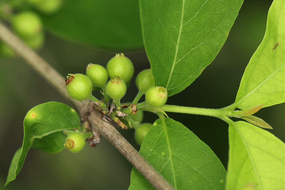
Empogona kirkii Hook. f.
subsp. kirkii

Three blocks of information are displayed on this page, namely: (a) details of the record; (b) the record point plotted using Google Maps and (c) any images attached to the record. Please scroll down to see the various items.

Record details:

Date: 4 Jan 2015
Recorder(s):BT Wursten
P Ballings
Collector(s):BT Wursten
P Ballings
PB2388
Determiner(s):BT Wursten
Confirmer(s):
Herbarium:BR
Habitat: In dry mixed deciduous woodland
Location: Along entrance road to Nhambo cottages, Chilo Gorge Safari Lodge
Location code(s): 172
Outing code:
Planted code: Not planted
Country: Zimbabwe
Quarter Degree Square: 2132A2
Grid reference:
FZ divisions: E
Altitude (metres): 192
Notes: Leaves relatively broadly ovate-elliptic; fruit in pedicellate clusters up to 7, not solitary.
Latitude, Longitude: -21.248012, 32.351301
Location Accuracy Code: 7

Map of species record

Images:

Image: 23

Empogona kirkii subsp. kirkii

Species id:155550
Image id:23
Image number:40406
Photographer: BT Wursten
Code 1 if image of a herbarium specimen:0
Herbarium in which image taken:
Code 1 if image not to be displayed:0
Image notes:

Image: 24

Empogona kirkii subsp. kirkii

Species id:155550
Image id:24
Image number:40407
Photographer: BT Wursten
Code 1 if image of a herbarium specimen:0
Herbarium in which image taken:
Code 1 if image not to be displayed:0
Image notes:

Image: 25

Empogona kirkii subsp. kirkii

Species id:155550
Image id:25
Image number:40408
Photographer: BT Wursten
Code 1 if image of a herbarium specimen:0
Herbarium in which image taken:
Code 1 if image not to be displayed:0
Image notes:

Image: 26

Empogona kirkii subsp. kirkii

Species id:155550
Image id:26
Image number:40409
Photographer: BT Wursten
Code 1 if image of a herbarium specimen:0
Herbarium in which image taken:
Code 1 if image not to be displayed:0
Image notes:

Image: 27

Empogona kirkii subsp. kirkii

Species id:155550
Image id:27
Image number:40410
Photographer: BT Wursten
Code 1 if image of a herbarium specimen:0
Herbarium in which image taken:
Code 1 if image not to be displayed:0
Image notes:

Copyright: Mike Bingham, Annette Willemen, Nicholas Wightman, Bart Wursten, Petra Ballings and Mark Hyde, 2011-26

Bingham, M.G., Willemen, A., Wightman, N., Wursten, B.T., Ballings, P. and Hyde, M.A. (2026). Flora of Zambia: Individual record no: 118838: Empogona kirkii.
https://www.zambiaflora.com/speciesdata/species-record.php?record_id=118838, retrieved 5 April 2026

Site software last modified: 18 October 2025 12:29pm (GMT +2)
Terms of use