Details of record no: 38178

Melhania forbesii Planch. ex Mast.

Three blocks of information are displayed on this page, namely: (a) details of the record; (b) the record point plotted using Google Maps and (c) any images attached to the record. Please scroll down to see the various items.

Record details:

Date: 7 Jan 2012
Recorder(s):MA Hyde
BT Wursten
P Ballings
Collector(s):
Determiner(s):
Confirmer(s):
Herbarium:
Habitat: Rocky miombo woodland
Location: Near the lodges, Lake Kyle Recreational Park
Location code(s): 75
Outing code: 13
Planted code: Not planted
Country: Zimbabwe
Quarter Degree Square: 2031A1
Grid reference:
FZ divisions: S
Altitude (metres): 1090
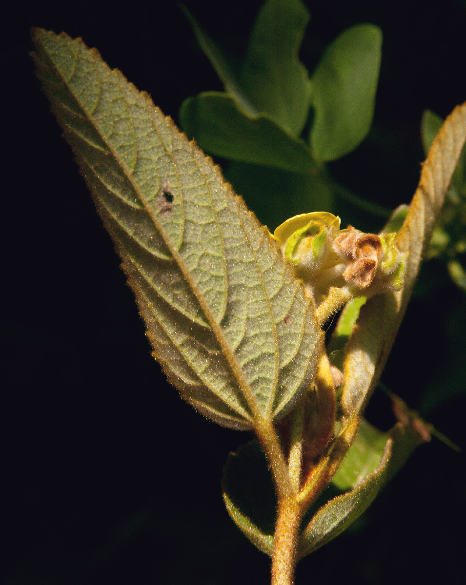
Notes: Epicalyx acute, not long-acuminate
Latitude, Longitude: -20.218510, 31.008720
Location Accuracy Code: 7

Map of species record

Images:

Image: 1

Melhania forbesii

Species id:139820
Image id:1
Image number:10788
Photographer: BT Wursten
Code 1 if image of a herbarium specimen:0
Herbarium in which image taken:
Code 1 if image not to be displayed:0
Image notes:Epicalyx acute, not long-acuminate

Image: 2

Melhania forbesii

Species id:139820
Image id:2
Image number:11592
Photographer: BT Wursten
Code 1 if image of a herbarium specimen:0
Herbarium in which image taken:
Code 1 if image not to be displayed:0
Image notes:Epicalyx acute, not long-acuminate

Image: 3

Melhania forbesii

Species id:139820
Image id:3
Image number:11593
Photographer: BT Wursten
Code 1 if image of a herbarium specimen:0
Herbarium in which image taken:
Code 1 if image not to be displayed:0
Image notes:Epicalyx acute, not long-acuminate

Image: 4

Melhania forbesii

Species id:139820
Image id:4
Image number:11594
Photographer: BT Wursten
Code 1 if image of a herbarium specimen:0
Herbarium in which image taken:
Code 1 if image not to be displayed:0
Image notes:Epicalyx acute, not long-acuminate

Copyright: Mike Bingham, Annette Willemen, Nicholas Wightman, Bart Wursten, Petra Ballings and Mark Hyde, 2011-25

Bingham, M.G., Willemen, A., Wightman, N., Wursten, B.T., Ballings, P. and Hyde, M.A. (2025). Flora of Zambia: Individual record no: 38178: Melhania forbesii.
https://www.zambiaflora.com/speciesdata/species-record.php?record_id=38178, retrieved 24 December 2025

Site software last modified: 18 October 2025 12:29pm (GMT +2)
Terms of use