Details of record no: 66591

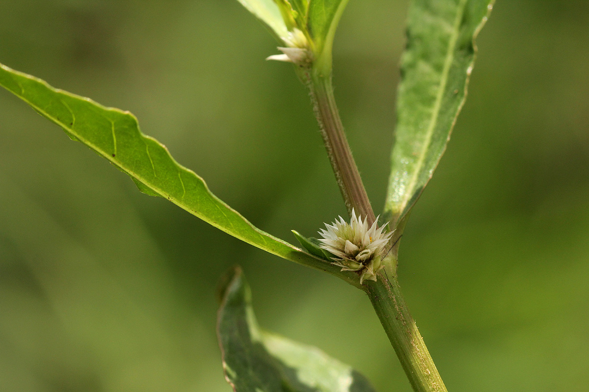
Alternanthera nodiflora R. Br.

Three blocks of information are displayed on this page, namely: (a) details of the record; (b) the record point plotted using Google Maps and (c) any images attached to the record. Please scroll down to see the various items.

Record details:

Date: 12 Jan 2015
Recorder(s):BT Wursten
P Ballings
Collector(s):
Determiner(s):BT Wursten
Confirmer(s):
Herbarium:
Habitat: On streambank.
Location: Stream crossing on road from Chipinda Pools to Chlojo Cliffs, Gonarezhou National Park.
Location code(s): 160
Outing code:
Planted code: Not planted
Country: Zimbabwe
Quarter Degree Square: 2131B4
Grid reference:
FZ divisions: S
Altitude (metres): 257
Notes: Fruit much shorter than perianth lobes.
Latitude, Longitude: -21.327916, 31.969705
Location Accuracy Code: 7

Map of species record

Images:

Image: 3

Alternanthera nodiflora

Species id:122530
Image id:3
Image number:21637
Photographer: BT Wursten
Code 1 if image of a herbarium specimen:0
Herbarium in which image taken:
Code 1 if image not to be displayed:0
Image notes:Fruit much shorter than perianth lobes.

Image: 4

Alternanthera nodiflora

Species id:122530
Image id:4
Image number:21638
Photographer: BT Wursten
Code 1 if image of a herbarium specimen:0
Herbarium in which image taken:
Code 1 if image not to be displayed:0
Image notes:Fruit much shorter than perianth lobes.

Copyright: Mike Bingham, Annette Willemen, Nicholas Wightman, Bart Wursten, Petra Ballings and Mark Hyde, 2011-26

Bingham, M.G., Willemen, A., Wightman, N., Wursten, B.T., Ballings, P. and Hyde, M.A. (2026). Flora of Zambia: Individual record no: 66591: Alternanthera nodiflora.
https://www.zambiaflora.com/speciesdata/species-record.php?record_id=66591, retrieved 18 February 2026

Site software last modified: 18 October 2025 12:29pm (GMT +2)
Terms of use