Details of record no: 97558

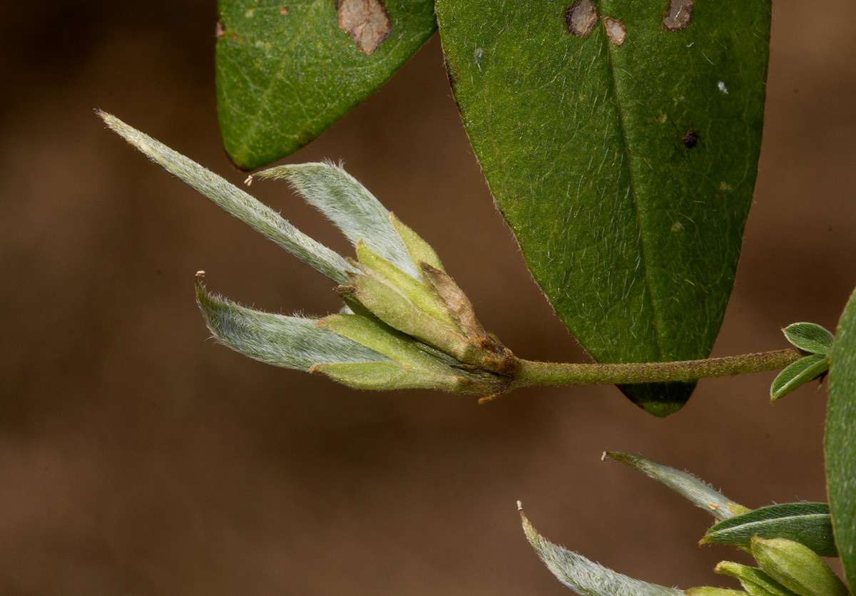
Argyrolobium tomentosum (Andrews) Druce

Three blocks of information are displayed on this page, namely: (a) details of the record; (b) the record point plotted using Google Maps and (c) any images attached to the record. Please scroll down to see the various items.

Record details:

Date: 8 Aug 2018
Recorder(s):BT Wursten
A Iqbal
M Siska
Collector(s):BT Wursten
A Iqbal
AI032
Determiner(s):BT Wursten
Confirmer(s):
Herbarium:BR
Habitat: Just inside margin of forest in shade
Location: Entrance to Zovo Chipolo Trail, Nyika National Park
Location code(s): 180
Outing code: 55
Planted code: Not planted
Country: Malawi
Quarter Degree Square: 1033D1
Grid reference:
FZ divisions: N
Altitude (metres): 2235
Notes:
Latitude, Longitude: -10.575300, 33.707370
Location Accuracy Code: 7

Map of species record

Images:

Image: 9

Argyrolobium tomentosum

Species id:128420
Image id:9
Image number:31280
Photographer: BT Wursten
Code 1 if image of a herbarium specimen:0
Herbarium in which image taken:
Code 1 if image not to be displayed:0
Image notes:

Image: 10

Argyrolobium tomentosum

Species id:128420
Image id:10
Image number:31281
Photographer: BT Wursten
Code 1 if image of a herbarium specimen:0
Herbarium in which image taken:
Code 1 if image not to be displayed:0
Image notes:

Image: 11

Argyrolobium tomentosum

Species id:128420
Image id:11
Image number:31282
Photographer: BT Wursten
Code 1 if image of a herbarium specimen:0
Herbarium in which image taken:
Code 1 if image not to be displayed:0
Image notes:

Image: 12

Argyrolobium tomentosum

Species id:128420
Image id:12
Image number:31283
Photographer: BT Wursten
Code 1 if image of a herbarium specimen:0
Herbarium in which image taken:
Code 1 if image not to be displayed:0
Image notes:

Image: 13

Argyrolobium tomentosum

Species id:128420
Image id:13
Image number:31284
Photographer: BT Wursten
Code 1 if image of a herbarium specimen:0
Herbarium in which image taken:
Code 1 if image not to be displayed:0
Image notes:

Image: 14

Argyrolobium tomentosum

Species id:128420
Image id:14
Image number:31285
Photographer: BT Wursten
Code 1 if image of a herbarium specimen:0
Herbarium in which image taken:
Code 1 if image not to be displayed:0
Image notes:

Image: 15

Argyrolobium tomentosum

Species id:128420
Image id:15
Image number:31286
Photographer: BT Wursten
Code 1 if image of a herbarium specimen:0
Herbarium in which image taken:
Code 1 if image not to be displayed:0
Image notes:

Copyright: Mike Bingham, Annette Willemen, Nicholas Wightman, Bart Wursten, Petra Ballings and Mark Hyde, 2011-26

Bingham, M.G., Willemen, A., Wightman, N., Wursten, B.T., Ballings, P. and Hyde, M.A. (2026). Flora of Zambia: Individual record no: 97558: Argyrolobium tomentosum.
https://www.zambiaflora.com/speciesdata/species-record.php?record_id=97558, retrieved 18 February 2026

Site software last modified: 18 October 2025 12:29pm (GMT +2)
Terms of use