Details of record no: 25219

Adenia karibaensis W.J. de Wilde

Three blocks of information are displayed on this page, namely: (a) details of the record; (b) the record point plotted using Google Maps and (c) any images attached to the record. Please scroll down to see the various items.

Record details:

Date: 6 Jan 2009
Recorder(s):MA Hyde
BT Wursten
Collector(s):MA Hyde
09.006.38
Determiner(s):
Confirmer(s):
Herbarium:
Habitat: Roadside woodland
Location: Kariba
Location code(s):
Outing code:
Planted code: Not planted
Country: Zimbabwe
Quarter Degree Square: 1628D2
Grid reference:
FZ divisions: N
Altitude (metres): 630
Notes: Swollen trunk with long whippy branches from near apex.
Latitude, Longitude:
Location Accuracy Code: 7

Map of species record

Records not available for display

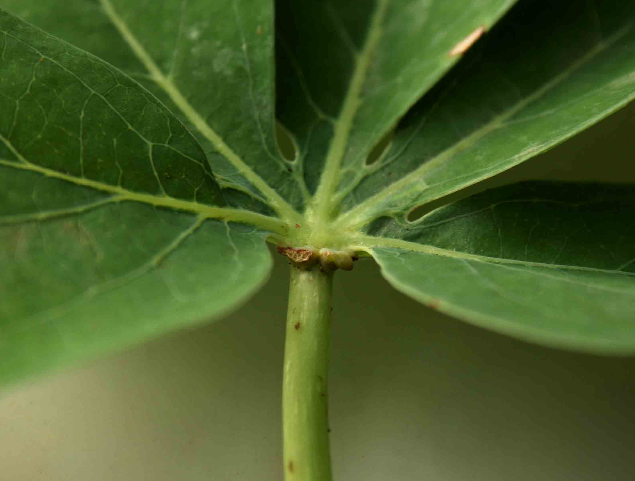
Images:

Image: 1

Adenia karibaensis

Species id:141070
Image id:1
Image number:6295
Photographer: BT Wursten
Code 1 if image of a herbarium specimen:0
Herbarium in which image taken:
Code 1 if image not to be displayed:0
Image notes:Swollen trunk with long whippy branches from near apex.

Image: 2

Adenia karibaensis

Species id:141070
Image id:2
Image number:6699
Photographer: BT Wursten
Code 1 if image of a herbarium specimen:0
Herbarium in which image taken:
Code 1 if image not to be displayed:0
Image notes:Swollen trunk with long whippy branches from near apex.

Image: 3

Adenia karibaensis

Species id:141070
Image id:3
Image number:6700
Photographer: BT Wursten
Code 1 if image of a herbarium specimen:0
Herbarium in which image taken:
Code 1 if image not to be displayed:0
Image notes:Swollen trunk with long whippy branches from near apex.

Image: 4

Adenia karibaensis

Species id:141070
Image id:4
Image number:6701
Photographer: BT Wursten
Code 1 if image of a herbarium specimen:0
Herbarium in which image taken:
Code 1 if image not to be displayed:0
Image notes:Swollen trunk with long whippy branches from near apex.

Image: 5

Adenia karibaensis

Species id:141070
Image id:5
Image number:6702
Photographer: BT Wursten
Code 1 if image of a herbarium specimen:0
Herbarium in which image taken:
Code 1 if image not to be displayed:0
Image notes:Swollen trunk with long whippy branches from near apex.

Image: 6

Adenia karibaensis

Species id:141070
Image id:6
Image number:6703
Photographer: BT Wursten
Code 1 if image of a herbarium specimen:0
Herbarium in which image taken:
Code 1 if image not to be displayed:0
Image notes:Swollen trunk with long whippy branches from near apex.

Copyright: Mike Bingham, Annette Willemen, Nicholas Wightman, Bart Wursten, Petra Ballings and Mark Hyde, 2011-26

Bingham, M.G., Willemen, A., Wightman, N., Wursten, B.T., Ballings, P. and Hyde, M.A. (2026). Flora of Zambia: Individual record no: 25219: Adenia karibaensis.
https://www.zambiaflora.com/speciesdata/species-record.php?record_id=25219, retrieved 18 February 2026

Site software last modified: 18 October 2025 12:29pm (GMT +2)
Terms of use