Details of record no: 29103

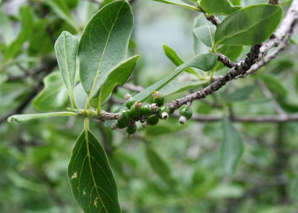
Tricalysia niamniamensis Hiern

Three blocks of information are displayed on this page, namely: (a) details of the record; (b) the record point plotted using Google Maps and (c) any images attached to the record. Please scroll down to see the various items.

Record details:

Date: 18 Jan 2009
Recorder(s):MA Hyde
Collector(s):
Determiner(s):
Confirmer(s):
Herbarium:
Habitat: Open rocky, miombo woodland
Location: Christon Bank
Location code(s): 7
Outing code:
Planted code: Not planted
Country: Zimbabwe
Quarter Degree Square: 1731C1
Grid reference:
FZ divisions: C
Altitude (metres): 1360
Notes:
Latitude, Longitude: -17.588240, 31.011470
Location Accuracy Code: 0

Map of species record

Images:

Image: 1

Tricalysia niamniamensis

Species id:162790
Image id:1
Image number:7497
Photographer: MA Hyde
Code 1 if image of a herbarium specimen:0
Herbarium in which image taken:
Code 1 if image not to be displayed:0
Image notes:

Image: 2

Tricalysia niamniamensis

Species id:162790
Image id:2
Image number:7537
Photographer: MA Hyde
Code 1 if image of a herbarium specimen:0
Herbarium in which image taken:
Code 1 if image not to be displayed:0
Image notes:

Image: 3

Tricalysia niamniamensis

Species id:162790
Image id:3
Image number:7538
Photographer: MA Hyde
Code 1 if image of a herbarium specimen:0
Herbarium in which image taken:
Code 1 if image not to be displayed:0
Image notes:

Copyright: Mike Bingham, Annette Willemen, Nicholas Wightman, Bart Wursten, Petra Ballings and Mark Hyde, 2011-26

Bingham, M.G., Willemen, A., Wightman, N., Wursten, B.T., Ballings, P. and Hyde, M.A. (2026). Flora of Zambia: Individual record no: 29103: Tricalysia niamniamensis.
https://www.zambiaflora.com/speciesdata/species-record.php?record_id=29103, retrieved 5 April 2026

Site software last modified: 18 October 2025 12:29pm (GMT +2)
Terms of use