Details of record no: 3580

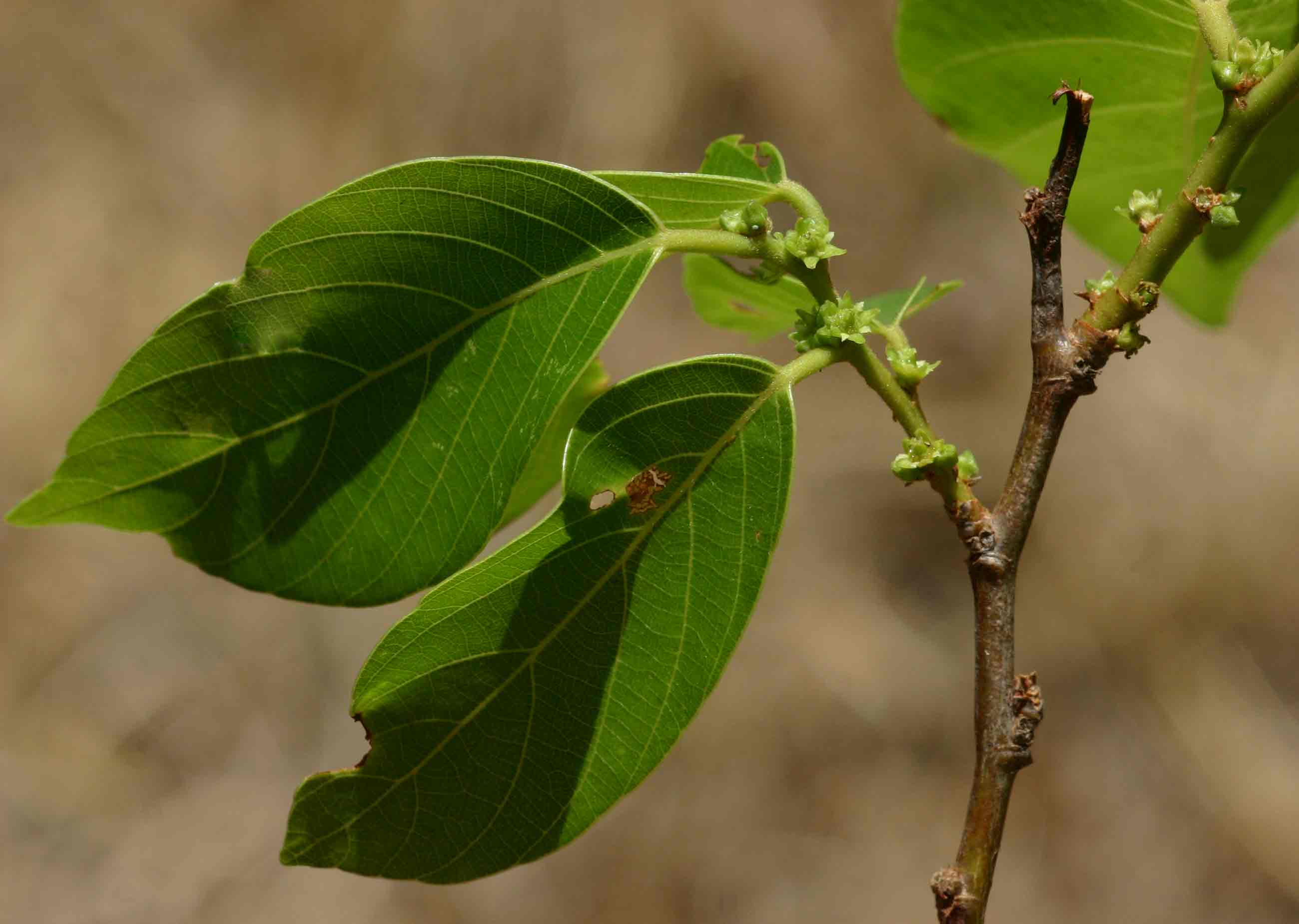
Bridelia micrantha (Hochst.) Baill.

Three blocks of information are displayed on this page, namely: (a) details of the record; (b) the record point plotted using Google Maps and (c) any images attached to the record. Please scroll down to see the various items.

Record details:

Date: 17 Oct 2005
Recorder(s):MA Hyde
BT Wursten
Collector(s):
Determiner(s):
Confirmer(s):
Herbarium:
Habitat: Open roadside verge nr forest edge
Location: By main Vumba rd
Location code(s): 63,156
Outing code:
Planted code: Not planted
Country: Zimbabwe
Quarter Degree Square: 1932B1
Grid reference: VP710921
FZ divisions: E
Altitude (metres): 1490
Notes:
Latitude, Longitude:
Location Accuracy Code: 0

Map of species record

Images:

Image: 1

Bridelia micrantha

Species id:134700
Image id:1
Image number:1926
Photographer: BT Wursten
Code 1 if image of a herbarium specimen:0
Herbarium in which image taken:
Code 1 if image not to be displayed:0
Image notes:

Image: 2

Bridelia micrantha

Species id:134700
Image id:2
Image number:2333
Photographer: BT Wursten
Code 1 if image of a herbarium specimen:0
Herbarium in which image taken:
Code 1 if image not to be displayed:0
Image notes:

Image: 3

Bridelia micrantha

Species id:134700
Image id:3
Image number:2334
Photographer: BT Wursten
Code 1 if image of a herbarium specimen:0
Herbarium in which image taken:
Code 1 if image not to be displayed:0
Image notes:

Copyright: Mike Bingham, Annette Willemen, Nicholas Wightman, Bart Wursten, Petra Ballings and Mark Hyde, 2011-26

Bingham, M.G., Willemen, A., Wightman, N., Wursten, B.T., Ballings, P. and Hyde, M.A. (2026). Flora of Zambia: Individual record no: 3580: Bridelia micrantha.
https://www.zambiaflora.com/speciesdata/species-record.php?record_id=3580, retrieved 18 February 2026

Site software last modified: 18 October 2025 12:29pm (GMT +2)
Terms of use