Details of record no: 64903

Bridelia micrantha (Hochst.) Baill.

Three blocks of information are displayed on this page, namely: (a) details of the record; (b) the record point plotted using Google Maps and (c) any images attached to the record. Please scroll down to see the various items.

Record details:

Date: 28 Oct 2013
Recorder(s):BT Wursten
S Dondeyne
K Dekoninck
Collector(s):BT Wursten
BW889
Determiner(s):BT Wursten
Confirmer(s):
Herbarium:BR
Habitat: Understorey of Newtonia dominated forest
Location: Survey Plot 3, Magorogodo hills, Zomba Community
Location code(s):
Outing code: 31
Planted code: Not planted
Country: Mozambique
Quarter Degree Square: 1933C3
Grid reference:
FZ divisions: MS
Altitude (metres): 548
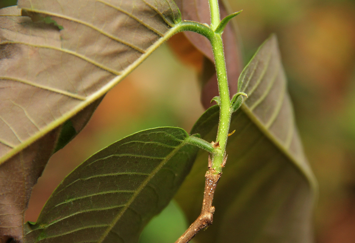
Notes: Leaves purple beneath; stipules; reddish slash.
Latitude, Longitude: -19.908041, 33.185028
Location Accuracy Code: 7

Map of species record

Images:

Image: 6

Bridelia micrantha

Species id:134700
Image id:6
Image number:20789
Photographer: BT Wursten
Code 1 if image of a herbarium specimen:0
Herbarium in which image taken:
Code 1 if image not to be displayed:0
Image notes:Leaves purple beneath; stipules; reddish slash.

Image: 7

Bridelia micrantha

Species id:134700
Image id:7
Image number:20790
Photographer: BT Wursten
Code 1 if image of a herbarium specimen:0
Herbarium in which image taken:
Code 1 if image not to be displayed:0
Image notes:Leaves purple beneath; stipules; reddish slash.

Image: 8

Bridelia micrantha

Species id:134700
Image id:8
Image number:20791
Photographer: BT Wursten
Code 1 if image of a herbarium specimen:0
Herbarium in which image taken:
Code 1 if image not to be displayed:0
Image notes:Leaves purple beneath; stipules; reddish slash.

Image: 9

Bridelia micrantha

Species id:134700
Image id:9
Image number:20792
Photographer: BT Wursten
Code 1 if image of a herbarium specimen:0
Herbarium in which image taken:
Code 1 if image not to be displayed:1
Image notes:Leaves purple beneath; stipules; reddish slash.

Image: 10

Bridelia micrantha

Species id:134700
Image id:10
Image number:20793
Photographer: BT Wursten
Code 1 if image of a herbarium specimen:0
Herbarium in which image taken:
Code 1 if image not to be displayed:0
Image notes:Leaves purple beneath; stipules; reddish slash.

Image: 11

Bridelia micrantha

Species id:134700
Image id:11
Image number:20794
Photographer: BT Wursten
Code 1 if image of a herbarium specimen:0
Herbarium in which image taken:
Code 1 if image not to be displayed:0
Image notes:Leaves purple beneath; stipules; reddish slash.

Copyright: Mike Bingham, Annette Willemen, Nicholas Wightman, Bart Wursten, Petra Ballings and Mark Hyde, 2011-26

Bingham, M.G., Willemen, A., Wightman, N., Wursten, B.T., Ballings, P. and Hyde, M.A. (2026). Flora of Zambia: Individual record no: 64903: Bridelia micrantha.
https://www.zambiaflora.com/speciesdata/species-record.php?record_id=64903, retrieved 18 February 2026

Site software last modified: 18 October 2025 12:29pm (GMT +2)
Terms of use