Details of record no: 90930

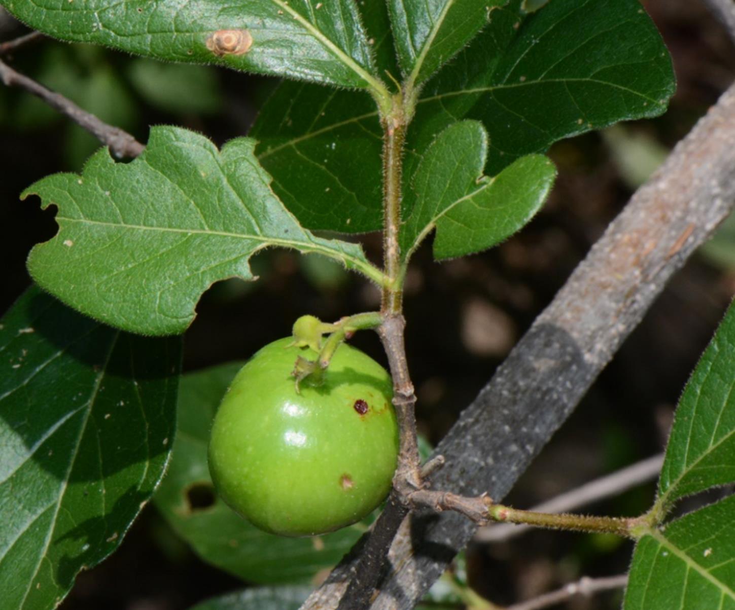
Vangueria proschii Briq.

Three blocks of information are displayed on this page, namely: (a) details of the record; (b) the record point plotted using Google Maps and (c) any images attached to the record. Please scroll down to see the various items.

Record details:

Date: 25 Jan 2018
Recorder(s):W McCleland
Collector(s):
Determiner(s):W McCleland
Confirmer(s):MG Bingham
Herbarium:
Habitat: Tall riparian forest on an island in the Zambezi River, close to the eastern bank. Small tree growing in shade in understory of forest. 
Location: About 5 km upstream of Ngonye Falls, Sioma
Location code(s): 109
Outing code:
Planted code: Not planted
Country: Zambia
Quarter Degree Square: 1623D1
Grid reference:
FZ divisions: B
Altitude (metres): 992
Notes:
Latitude, Longitude: -16.613704, 23.544995
Location Accuracy Code: 7

Map of species record

Images:

Image: 1

Vangueria proschii

Species id:155740
Image id:1
Image number:29228
Photographer: W McCleland
Code 1 if image of a herbarium specimen:0
Herbarium in which image taken:
Code 1 if image not to be displayed:0
Image notes:

Image: 2

Vangueria proschii

Species id:155740
Image id:2
Image number:29229
Photographer: W McCleland
Code 1 if image of a herbarium specimen:0
Herbarium in which image taken:
Code 1 if image not to be displayed:0
Image notes:

Image: 3

Vangueria proschii

Species id:155740
Image id:3
Image number:29230
Photographer: W McCleland
Code 1 if image of a herbarium specimen:0
Herbarium in which image taken:
Code 1 if image not to be displayed:0
Image notes:

Image: 4

Vangueria proschii

Species id:155740
Image id:4
Image number:29231
Photographer: W McCleland
Code 1 if image of a herbarium specimen:0
Herbarium in which image taken:
Code 1 if image not to be displayed:0
Image notes:

Image: 5

Vangueria proschii

Species id:155740
Image id:5
Image number:29232
Photographer: W McCleland
Code 1 if image of a herbarium specimen:0
Herbarium in which image taken:
Code 1 if image not to be displayed:0
Image notes:

Copyright: Mike Bingham, Annette Willemen, Nicholas Wightman, Bart Wursten, Petra Ballings and Mark Hyde, 2011-26

Bingham, M.G., Willemen, A., Wightman, N., Wursten, B.T., Ballings, P. and Hyde, M.A. (2026). Flora of Zambia: Individual record no: 90930: Vangueria proschii.
https://www.zambiaflora.com/speciesdata/species-record.php?record_id=90930, retrieved 18 February 2026

Site software last modified: 18 October 2025 12:29pm (GMT +2)
Terms of use